このページを印刷する

Twitterにつぶやく Yahoo!ブックマークに登録 Googleブックマークに登録 はてなブックマークに追加 livedoorクリップに投稿

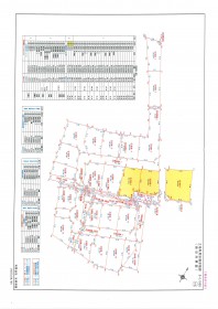
分譲地昭和町西条分譲地

価格:932万円

甲府市水道局昭和水源近く

※画像をクリックすると、拡大表示されます

資料請求、内見希望、詳細を知りたい方は・・・ お問い合わせ

物件基本情報

価 格 932万円
所在地 昭和町
交 通 国母駅徒歩2600m
土地面積/坪 205.43m²/62.14坪

物件詳細情報

接道状況 方位: 幅員:m / 方位: 幅員:m
最適用途 住宅用地
地 目
用途地域 -----
建ぺい率/容積率 60% / 200%
引渡し条件 建物建築をしていただきます。
セットバック 指定なし
私道負担 指定なし
法令・条例等 農地法
特別項目
物件番号 260121-01
取引態様 売主代理
情報登録日 2026/02/24

物件周辺の生活情報と備考

学 区 西条小学校
備考

※ 各種状況と現況に差異がある場合は、現況優先となります。

取り扱い不動産

有限会社サンライト・ハウジング

  • 取引態様:売主代理
  • 免許番号:山梨県知事免許(6)第1891号
  • 所在地:甲府市宮原町191-1
  • 営業時間:9:30~18:30

TEL:055-243-5755 FAX:055-243-5758

有限会社サンライト・ハウジングに資料請求、内見希望、詳細について・・・ お問い合わせ